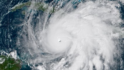
Conexión desde Jamaica y Cuba, cobertura a Huracán Melissa | ESM

Conexión desde Jamaica y Cuba, cobertura a Huracán Melissa | ESM

Conexión desde Jamaica y Cuba, cobertura a Huracán Melissa | ESMbr #Showdelmediodíat #huracanmelissa #jamaica #lluvias #alertadelluvias #lluivas #labores #ondatropical #indome #rd #conexion #colorvision #Canal9 #telerealidadbr


User: Color Visión Canal 9

Views: 1

Uploaded: 2025-10-27

Duration: 09:14