Typhoon barrels down the Japanese coast

Typhoon barrels down the Japanese coast

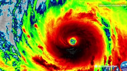
Typhoon Vongfong is moving towards Japan's Okinawa island chain, packing heavy winds that have disrupted flights and knocked out power. Report by Fosterso.


User: ODN

Views: 82

Uploaded: 2014-10-11

Duration: 01:01

Your Page Title