Typhoon Haiyan: China insults Philippines with paltry aid donation

Typhoon Haiyan: China insults Philippines with paltry aid donation

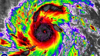
In the days since Typhoon Haiyan (or Typhon Yolanda) destroyed communities across the Philippines, leaving some 2,500 people dead and hundreds of thousands more displaced, millions of dollars in aid from countries with means are rolling in to support the relief and cleanup effort. br br The United States has promised an aid package of $20 million on top of logistical support from an aircraft carrier sent from port in Hong Kong. The European Union will give $17 million with the United Kingdom giving another $16 million, Australia and Japan each giving $10 million and New Zealand pitching in aid worth $2 million. China's derisory donation of just 10 million yuan (US$1.64 million) and another $100,000 via the Chinese Red Cross has raised eyebrows with even its own state-run and staunchly nationalistic Global Times tabloid expressing concern that Beijing's decision will harm the government's image abroad.br br Even the private sector is giving generously, with Toyota, Apple, IKEA and Samsung offering millions in support either directly or via charitable outlets.br br Meanwhile Taiwan's government, apparently not over the Philippine Coast Guard's killing of a Taiwanese fisherman last year, has pledged just $200,000, and stingy Hong Kong, is apparently still smarting over the deaths of eight tourists in a bungled Manila hostage rescue in 2010.br br China's mean spirit clearly stems from a territorial dispute with the Philippines in the South China Sea, which the PRC outrageously claims in its entirety. Beijing is also both stoking and reacting to a hostile Chinese public which, judging from many comments left on social media, would overwhelmingly prefer suffering Filipinos to get nothing. br br ----------------------------------------­----------------------------------------­br br Daily videos brought to you by THE Taiwanese Animators behind the infamous Tiger Woods animation.


User: TomoNews US

Views: 1

Uploaded: 2015-05-13

Duration: 01:36

Your Page Title