Hurricane Patricia hits Mexico

Hurricane Patricia hits Mexico

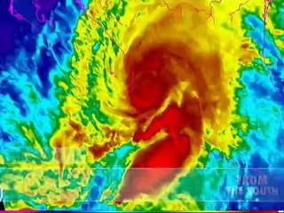
Experts said Patricia is the strongest storm to hit the Western Hemisphere. The strongest storm ever recorded is Cyclone Tip in Japan in 1979. br Report by Kadria.


User: ODN

Views: 163

Uploaded: 2015-10-24

Duration: 01:04

Your Page Title