Record-breaking Hurricane Patricia loses force over Mexico; damage light

Record-breaking Hurricane Patricia loses force over Mexico; damage light

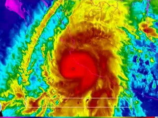
Record-breaking Hurricane Patricia lost force and was downgraded to a tropical storm as it moved northeast across Mexico on Saturday morning after barreling into the Pacific Coast late Friday afternoon.br The tourist resorts of Manzanillo in Colima and Playa Vallarta in Jalisco were reported to be calm and free from serious damage, in what Tourism Secretary Enrique de la Madrid described as a stroke of "extraordinary luck."br Mexico President Enrique Peña Nieto was expected to visit communities that suffered the brunt of the damage once more information emerged about the impact of the storm in more isolated communities, according to the newspaper Reforma.br Patricia weakened to tropical storm force by dawn Saturday with maximum sustained winds of 50 mph and was expected to dissipate soon over Mexico's inland mountains after moving over the states of Coahuila, Nuevo Leon and Tamaulipas in northeastern Mexico.


User: Wibbitz Top Stories

Views: 14

Uploaded: 2015-10-24

Duration: 01:01

Your Page Title