Taiwán se prepara para recibir al tifón Nepartak

Taiwán se prepara para recibir al tifón Nepartak

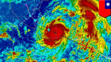
Taipei (Taiwán), 6 jul (EFEEPA).-(Imágenes: Ritchie Tongo). El Gobierno de Taiwán movilizó hoy a miles de soldados y activó el Centro de Respuesta a Emergencias, ante la proximidad del tifón Nepartak, el primero de la temporada, mientras que se producen evacuaciones en zonas de peligro.


User: AGENCIA EFE

Views: 8

Uploaded: 2016-07-06

Duration: 01:25