Hurricane Hermine wreaks havoc across US state of Florida

Hurricane Hermine wreaks havoc across US state of Florida

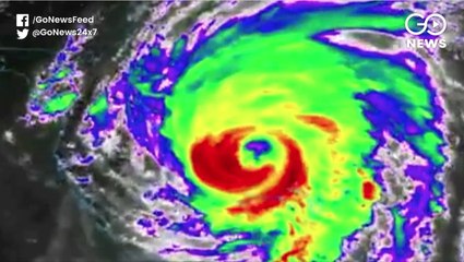
At least one person has died in Florida after hurricane Hermine brought heavy winds and storm surges to much of the US state. Hermine's been downgraded to a tropical storm as it moves north, but officials are worried it could bring more damage.


User: Al Jazeera English

Views: 10

Uploaded: 2016-09-03

Duration: 01:43

Your Page Title