Alerta “Patricia”: Conoce lo que debes hacer en caso de huracanes/ Vianey Esquinca

Alerta “Patricia”: Conoce lo que debes hacer en caso de huracanes/ Vianey Esquinca

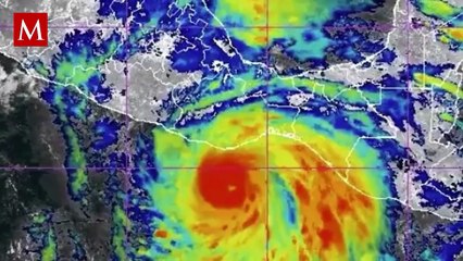
Con el inminete impato que tendrá el huracán "Patricia" en las costas del Pacifico Mexicano, conoce las precauciones en caso de emergencia.


User: Excélsior TV

Views: 5

Uploaded: 2018-10-04

Duration: 01:25

Your Page Title