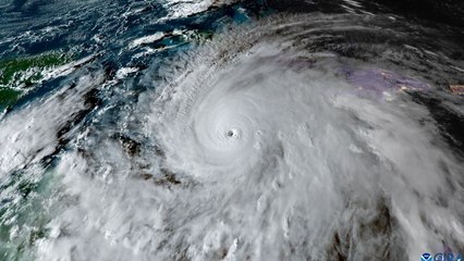
ABD'de son 56 yılın en kuvvetli kasırgası

ABD'de son 56 yılın en kuvvetli kasırgası


User: TRT Haber

Views: 3

Uploaded: 2017-08-27

Duration: 01:38

Your Page Title