Des vents à 250km/h, des trombes d’eau… ce qui attend les Antilles avec l’arrivée de l’ouragan Irma

Des vents à 250km/h, des trombes d’eau… ce qui attend les Antilles avec l’arrivée de l’ouragan Irma

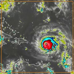
Les habitants de Saint-Martin commencent d’ores et déjà à se barricader avant l’arrivée de l’ouragan Irma, de catégorie 4 (sur 5). Il devrait toucher la Guadeloupe et les îles Saint-Barthélémy et Saint-Martin dans les prochaines heures. De gros dégâts sont à prévoir.


User: BFMTV

Views: 11

Uploaded: 2017-09-05

Duration: 01:13

Your Page Title