Huracán Irma baja a categoría 4 a su paso por Cuba

Huracán Irma baja a categoría 4 a su paso por Cuba

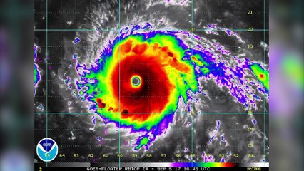
El huracán Irma bajó la madrugada de este sábado a categoría 4 a su paso por Cuba. Mientras este fenómeno meteorológico azota la provincia cubana de Camagüey, las autoridades de La Florida ya comenzaron a evacuar a la población ante de que Irma llegue a esa región estadounidense.


User: teleSUR tv

Views: 43

Uploaded: 2017-09-09

Duration: 00:42