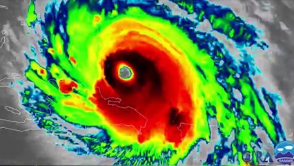
Presidente Donald Trump aprueba declaración de desastre en Florida y ordena ayuda federal para el estado

Presidente Donald Trump aprueba declaración de desastre en Florida y ordena ayuda federal para el estado


User: NTN24

Views: 5

Uploaded: 2017-09-11

Duration: 00:57