América Latina: los hechos que marcaron 2017

América Latina: los hechos que marcaron 2017

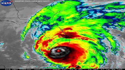
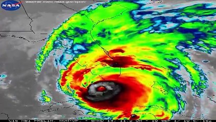
br Terremotos llevaron destrucción y muerte a México. En el Caribe, distintos huracanes arrasaron ciudades enteras. En Venezuela, la crisis política se profundizó.


User: Agence France-Presse

Views: 0

Uploaded: 2017-12-15

Duration: 07:09

Your Page Title