Ameaça de furacão põe Havaí em estado de emergência

Ameaça de furacão põe Havaí em estado de emergência

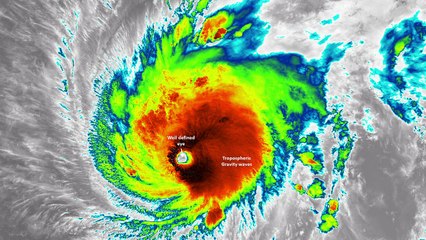
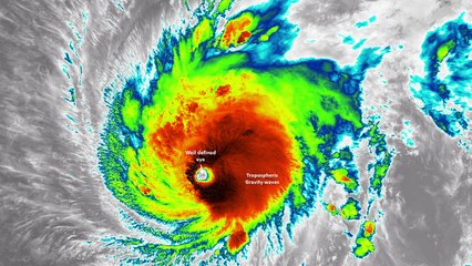
br O presidente americano Donald Trump declarou estado de emergência no Havaí. O arquipélago americano se prepara para a passagem do furacão Lane nas próximas horas.


User: Agence France-Presse

Views: 1

Uploaded: 2018-08-23

Duration: 01:24