Le Japon se prépare au plus redoutable typhon

Le Japon se prépare au plus redoutable typhon

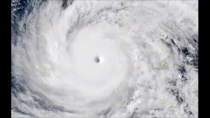
Le Japon se prépare au plus redoutable typhon Jebi est le typhon le plus violent qui ait frappé le Japon depuis 25 ans. C'est le 21e typhon de la saison et les structures japonaises ne sont plus suffisamment stables pour résister. Les pluies diluviennes et les coulées de boue ont obligé les autorités à évacuer 300 000 personnes, face aux risques de glissements de terrains. 650 vols ont été annulés et de nombreuses liaisons ferroviaires ont été suspendues. Depuis cet été, 220 personnes ont trouvé la mort dans les typhons de l'île.


User: Wibbitz Top Des Histoires En Français

Views: 0

Uploaded: 2018-09-04

Duration: 00:58

Your Page Title