Centro Nacional de Huracanes de EEUU descarta la formación de nuevos huracanes/Titulares de la Noche

Centro Nacional de Huracanes de EEUU descarta la formación de nuevos huracanes/Titulares de la Noche

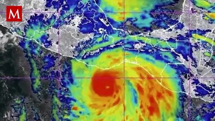
Centro Nacional de huracanes de EEUU descarta la formación de nuevos huracanesTitulares de la Noche br br 22 de septiembre de 2013br br El centro Nacional de Huracanes de Estados Unidos descartó la formación de huracanes en el pacífico en los próximos días, después que el huracán "Manuel" se debilitará a tormenta tropical.br br Para más información entra: br br No olvides dejarnos tus comentarios y visitarnos enbr Facebook: Twitter: Sitio: br br br Programa: Titulares de la Noche.                          br Conductor: Gloria Contreras.br Horario: Sábado @22:00-23:00.


User: Excélsior TV

Views: 3

Uploaded: 2018-10-03

Duration: 00:35