"Irma" azota con fuerza a Florida; deja sin electricidad más de 800 mil casas

"Irma" azota con fuerza a Florida; deja sin electricidad más de 800 mil casas

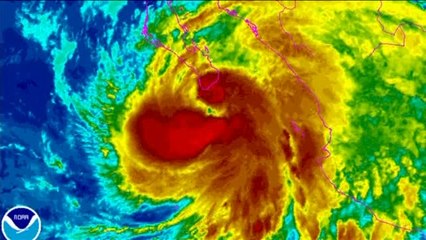
El huracán Irma, cuyo ojo llegó a primer hora de hoy a los Cayos de Florida, ha dejado sin suministro eléctrico a más de 800 mil casas y oficinas en el estado.


User: Excélsior TV

Views: 2

Uploaded: 2018-10-04

Duration: 00:45

Your Page Title