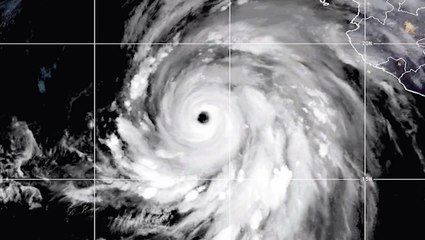
Hurricane Dorian increases to Category 3 storm -- and 'if you're in South Carolina it's too late'

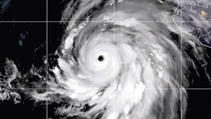
Hurricane Dorian increases to Category 3 storm -- and 'if you're in South Carolina it's too late'

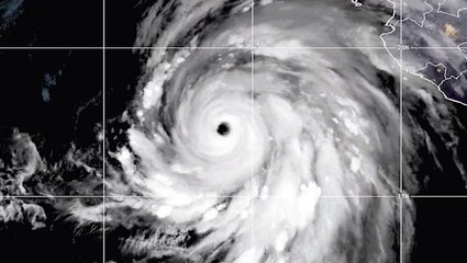
Hurricane Dorian increases to Category 3 storm -- and 'if you're in South Carolina it's too late'


User: Sarah K. Burris

Views: 1

Uploaded: 2019-09-05

Duration: 01:13