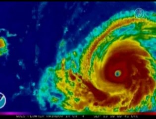
Hurricane Larry continues to strengthen, could become major hurricane

Hurricane Larry continues to strengthen, could become major hurricane

Hurricane Larry continues to draw in power, predicted to be major hurricane Saturday


User: Maria Memon

Views: 1

Uploaded: 2021-09-03

Duration: 02:53

Your Page Title