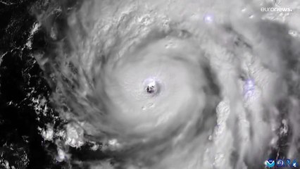
دمار هائل في فلوريدا بسبب الإعصار إيان

دمار هائل في فلوريدا بسبب الإعصار إيان

br زوروا موقع فرانس 24 عبر العنوان التاليbr br انضموا إلى صفحتنا على فيس بوكbr br تابعوا حسابنا الرسمي على تويترbr


User: فرانس 24 / FRANCE 24 Arabic

Views: 387

Uploaded: 2022-09-30

Duration: 01:37

Your Page Title