حاكم فلوريدا: أشعر بالصدمة بسبب الإعصار "إيان"

حاكم فلوريدا: أشعر بالصدمة بسبب الإعصار "إيان"

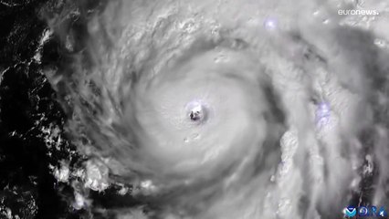
br br بعد تدمير ولاية #فلوريدا الأميركية..


User: Alarabiya العربية

Views: 151

Uploaded: 2022-09-30

Duration: 01:54

Your Page Title