Idalia tocó tierra en Florida como huracán de categoría 3

Idalia tocó tierra en Florida como huracán de categoría 3

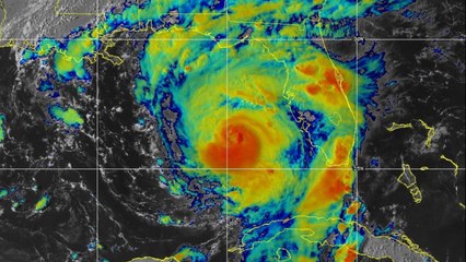
Idalia tocó tierra el miércoles en las costas del noroeste de Florida como un poderoso huracán de categoría 3, anunció el Centro Nacional de Huracanes de Estados Unidos.


User: AFP Español

Views: 0

Uploaded: 2023-08-30

Duration: 01:23

Your Page Title