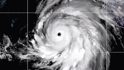
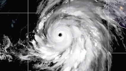
Hurricane Lee Looks Massive In Time-Lapse View From Space

Hurricane Lee Looks Massive In Time-Lapse View From Space

NOAA's GOES-East satellite captured footage of Hurricane Lee.br br Credit: CIRANOAA | edited by Space.


User: Space.com

Views: 2

Uploaded: 2023-11-20

Duration: 01:10

Your Page Title