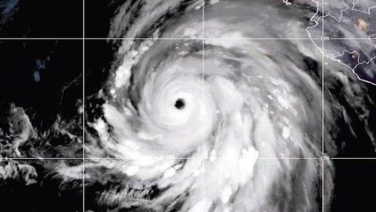
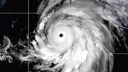
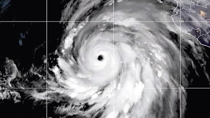
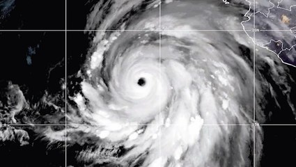
Amazing Satellite Time-Lapse Shows Hurricane Hilary Turning Into A Category 4 Storm

Amazing Satellite Time-Lapse Shows Hurricane Hilary Turning Into A Category 4 Storm

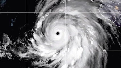
NOAA's GOES-East and GOES-West satellite captured imagery of Hurricane Hilary.br br Credit: Space.


User: Space.com

Views: 2

Uploaded: 2023-11-29

Duration: 01:08

Your Page Title