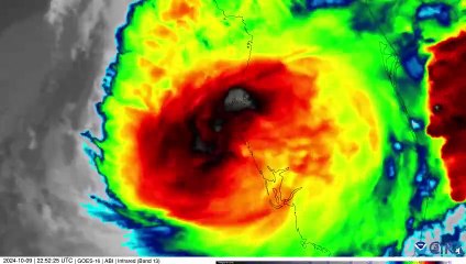
“Cuestión de vida o muerte”: Florida llama a evacuar ante la llegada del huracán Milton

“Cuestión de vida o muerte”: Florida llama a evacuar ante la llegada del huracán Milton

El estadounidense John Hopfield y el británico-canadiense Geoffrey Hinton ganaron este martes el Premio Nobel de Física por sus trabajos pioneros sobre el aprendizaje automático, una herramienta empleada en el desarrollo de la inteligencia artificial.


User: El Economista

Views: 1

Uploaded: 2024-10-09

Duration: 01:51

Your Page Title