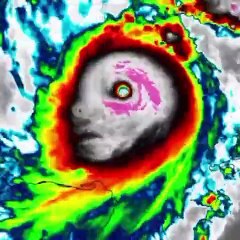
Simulación: Mira como llegará el huracán Milton a EE.UU.

Simulación: Mira como llegará el huracán Milton a EE.UU.


User: Notivisión

Views: 126

Uploaded: 2024-10-09

Duration: 01:56

Your Page Title