Huracán 'Milton' se degrada y abandona Florida

Huracán 'Milton' se degrada y abandona Florida

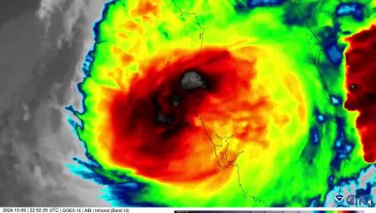
El huracán Milton continúa desplazándose sobre Florida como categoría 2. Se espera que mañana esté fuera del estado, degradándose en el Atlántico.


User: Milenio

Views: 5

Uploaded: 2024-10-10

Duration: 00:25