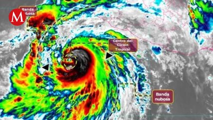
El huracán Hilary sube a categoría 4 en su camino a la mexicana Baja California

El huracán Hilary sube a categoría 4 en su camino a la mexicana Baja California


User: Diario Libre

Views: 0

Uploaded: 2025-02-23

Duration: 00:58

Your Page Title