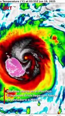
Mañana miércoles Oaxaca y Chiapas recibirán lluvias torrenciales por el ciclón tropical Erick

Mañana miércoles Oaxaca y Chiapas recibirán lluvias torrenciales por el ciclón tropical Erick

Podrían presentarse encharcamientos e inundaciones en varios estados de México por el impacto y circulación de Erick.


User: Meteored Mexico

Views: 2.8K

Uploaded: 2025-06-17

Duration: 01:00

Your Page Title