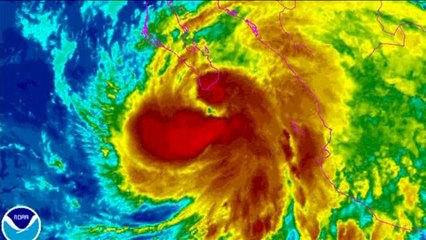
Se forma depresión tropical frente a las costas mexicanas del Pacífico

Se forma depresión tropical frente a las costas mexicanas del Pacífico

Jalisco y Baja California Sur deben extremar precauciones por lluvias, viento y oleaje fuerte en sus costas.


User: El Economista

Views: 5.2K

Uploaded: 2025-08-24

Duration: 01:16

Your Page Title