Huracán 'Imelda' se fortalece a categoría 2: México sigue en alerta por posibles efectos indirectos

Huracán 'Imelda' se fortalece a categoría 2: México sigue en alerta por posibles efectos indirectos

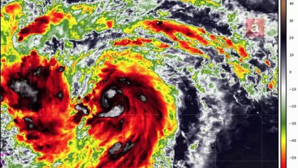
El huracán 'Imelda' se fortalece a categoría 2 en el Atlántico. México no está en riesgo directo, pero autoridades vigilan posibles lluvias, oleaje y efectos indirectos en costas.


User: Milenio

Views: 0

Uploaded: 2025-10-02

Duration: 02:07

Your Page Title