‘Communities Will Not Survive’: Jamaica Prepares For Worst Ever Storm As Melissa Intensifies to Category 5

‘Communities Will Not Survive’: Jamaica Prepares For Worst Ever Storm As Melissa Intensifies to Category 5

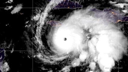
Hurricane Melissa intensified to a Category 5 storm on Monday amid forecasts of “life-threatening flash flooding,” landslides, and “destructive winds” expected to impact Jamaica ahead of its landfall on Tuesday.


User: TIME

Views: 84

Uploaded: 2025-10-27

Duration: 01:18