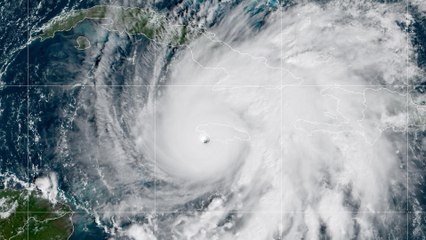
Últimas imágenes del huracán Melissa según se acerca a la isla de Jamaica (NOAA).

Últimas imágenes del huracán Melissa según se acerca a la isla de Jamaica (NOAA).


User: elDiario.es

Views: 1.8K

Uploaded: 2025-10-28

Duration: 00:06