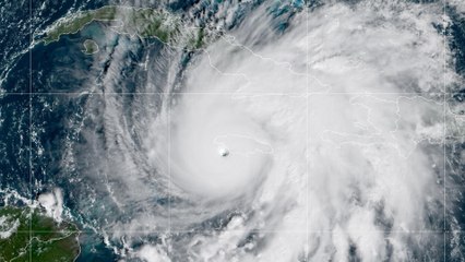
Jamaica espera la llegada del huracán Melissa.

Jamaica espera la llegada del huracán Melissa.


User: El Confidencial

Views: 57.2K

Uploaded: 2025-10-28

Duration: 00:25