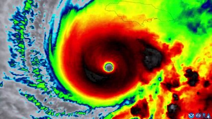
Melissa, el huracán más fuerte desde 2019, toca tierra en Jamaica

Melissa, el huracán más fuerte desde 2019, toca tierra en Jamaica


User: El Confidencial

Views: 50K

Uploaded: 2025-10-28

Duration: 00:31